Revenir aux résultats
Réf. de l'annonce : 14354371 / 677
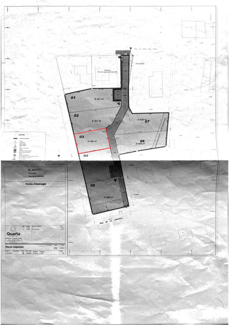
Vente terrain, 460.00m², Gourhel
Honoraires à la charge du vendeur | Honoraires 0.00 TTC à la charge du locataire
41 000 €
- 460.00m²
Terrain Gourhel 460 m2
Votre agence l'Adresse de Ploërmel, vous propose ce terrain entièrement constructible situé dans le centre de bourg de Gourhel, viabilisé (eau, électricité, téléphone). assainissement individuel à prévoir.
Les informations sur les risques auxquels ce bien est exposé sont disponibles sur le site Géorisques : www.georisques.gouv.fr
Mickaël DELERUE (EI) Agent commercial - Numéro RSAC : 889780698 - VANNES.
Bilan energetique


Caractéristiques Terrain
-
Les essentiels
- 460.00 m²
Vous souhaitez visiter le Terrain
Prenez rendez-vous avec l'agence.
Agence immobilière
l'Adresse Ploërmel
l'Adresse Ploërmel
1, avenue du Docteur Guillois
56800 Ploërmel
02 97 72 75 87
Nos honoraires
Mentions légales
56800 Ploërmel
02 97 72 75 87
Nos honoraires
Mentions légales
- l'Adresse Ploërmel
- 5000€
- Thierry HUET
- 884448051
- VANNES
- FR54884448051
- CPI56052020000044922
- 21 quai des Indes 56323 LORIENT
- SOCAF
- 110 000€
- 26 avenue de Suffren 75015 PARIS
- Vivons mieux ensemble, 465 avenue de la Libération 54000 NANCY. www.mediation-vivons-mieux-ensemble.fr
Mentions légales
Les terrains similaires
Ploërmel (56)
63 000 €Terrain1855.00 m²
Campénéac (56)
74 000 €Terrain2020.00 m²
Gourhel (56)
54 000 €Terrain607.00 m²
Loyat (56)
Exclusif20 000 €Terrain1180.00 m²
Augan (56)
56 000 €Terrain1500.00 m²
Gourhel (56)
57 500 €Terrain647.00 m²
Gourhel (56)
61 000 €Terrain689.00 m²
Ploërmel (56)
Exclusif90 000 €Terrain1760.00 m²
- Achat terrain
- Bretagne
- Morbihan (56)
- Gourhel (56800)
- Vente terrain pièce, 460.00m², Gourhel

